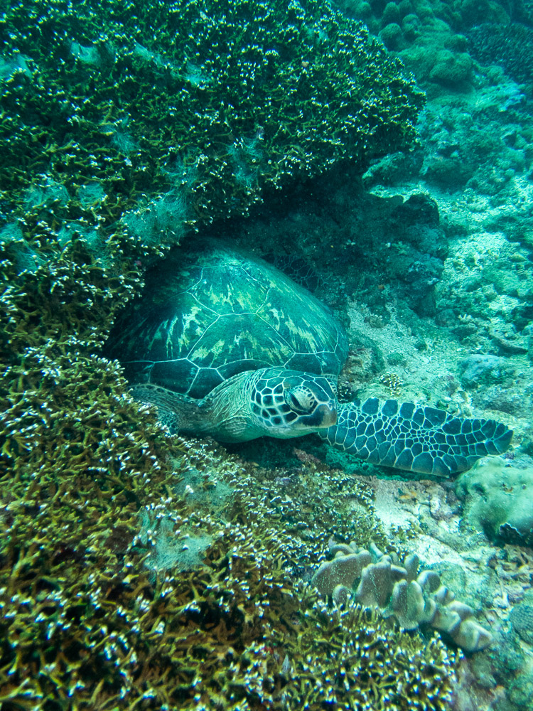
Posted on November 12, 2023 Kenya OctNov-2023 : Day 17 : Exhausted The boat had no cover and we all got sunburned. The dives were good, just not the time on the boat. The diving. The sun. The talking to people. I’m spent! Some quick photos before bed… Oh. And we went to dinner in a restaurant in a cave. Share this: Share on Facebook (Opens in new window) Facebook Share on X (Opens in new window) X Like Loading...